Crab fishery monitoring to support aggregate dredging

Tarmac Marine, Cemex UK, Hanson Marine

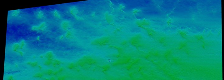
Hydrographic-Geophysical Survey

ABPmer was asked to conduct a geophysical survey in the vicinity of a crab fishery area 12 km south of Hastings, East Sussex.

Conducted in June, immediately prior to the start of the crab fishing season, the survey was undertaken to ensure there were no negative effects as a result of aggregate dredging activity taking place nearby.

A high-resolution Kongsberg 2040C dual-head multibeam system and Edgetech 4125 sidescan sonar were mobilised to the survey vessel Wessex Explorer.

The sidescan sonar was towed from the stern by winch to achieve optimum data coverage and quality in 40m water depth. A Sonardyne Scout USBL subsurface positioning system was used to position the towed sidescan sonar system.

Full coverage multibeam and sidescan data was achieved over the 13 km² survey area. Multibeam data was subsequently processed and results compared against the previous survey conducted in 2017 and the baseline survey conducted in 2005. Seabed features were determined from the sidescan sonar data and compared against those derived from the 2017 survey.

Within the survey area a wide range of seabed features were identified including sandwaves, mega-ripples, outcropping bedrock and seven wrecks.


ABPmer's surveyors support marine developments with a comprehensive understanding of the seabed, delivering quality maps and analysis of depth and features. Learn more about our hydrographic-geophysical survey capability.

crab-fishery-bathymetry-420x150 (1).jpg

Paul Clement

Ready to talk to a surveyor?

GET IN TOUCH

Our experience

Marine and Coastal Survey - part of ABPmer

Contact us

ABPmer
Quayside Suite
Medina Chambers
Town Quay
Southampton
SO14 2AQ

E-zine sign-up