Experience

Our survey and monitoring services have informed decision-making for a wide variety of marine and costal projects and developments

Ecological Survey

Measuring dredging impact on black bream

Tarmac Marine and CEMEX UK Marine commissioned ABPmer to undertake an assessment of black bream nesting activity in survey areas in the Kingmere MCZ, to contribute to annual monitoring requirements for Areas 453 and 488 licences.

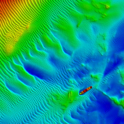
Hydrographic-Geophysical Survey

Area 392/393 geophysical survey

ABPmer was asked to conduct a geophysical survey within aggregate extraction Area 392/393 in fulfilment of a marine licence issued by NRW.

Hydrographic-Geophysical Survey

Crab fishery monitoring to support aggregate dredging

ABPmer was asked to conduct a geophysical survey in the vicinity of a crab fishery area south of Hastings, to ensure there were no negative effects from aggregate dredging activity taking place nearby

Oceanographic Survey

Tidal flow survey for Chichester Harbour Pontoon development

Chichester Harbour is one of the UK’s most popular leisure harbours, with an estimated 25,000 people enjoying its waters for racing, cruising and fishing each year. The harbour is home to over 12,000 residential vessels, representing about 25% of all the recreational craft in the Solent.

Marine and Coastal Survey - part of ABPmer

Contact us

ABPmer
Quayside Suite
Medina Chambers
Town Quay
Southampton
SO14 2AQ

E-zine sign-up